Những Hàng Lỗ Bí ẩn Dưới đáy Biển - CafeF
Có thể bạn quan tâm
MỚI NHẤT!
Đọc nhanh >>- Tin tức Xã hội Doanh nghiệp Kinh tế vĩ mô Tài chính - Chứng khoán Chứng khoán Tài chính ngân hàng Tài chính quốc tế Bất động sản Tin tức Dự án Bản đồ dự án Khác Hàng hóa nguyên liệu Sống Lifestyle CHỦ ĐỀ NÓNG Magazine
- Dữ liệu
- Fchoice
29-07-2022 - 22:00 PM | Tài chính quốc tế
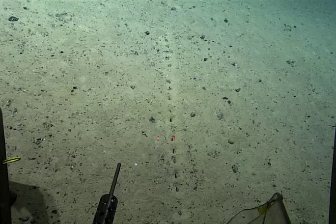
Chia sẻCác nhà thám hiểm Mỹ vừa phát hiện những hàng lỗ bí ẩn dưới đáy Đại Tây Dương.
- 08-07-2022Câu chuyện về con cua và chiếc máy đo địa chấn dưới đáy đại dương
- 21-06-2022Đại dương tràn trề một nguồn năng lượng ít người khai thác, được dự đoán sẽ nắm phần then chốt trong cách mạng năng lượng toàn cầu
- 19-06-2022Cuộc đua bí mật dưới lòng đại dương: Khi đáy biển được “phân lô” để tranh giành hàng tỷ đô lợi nhuận
- 07-06-2022Loại năng lượng đầy tiềm năng đến từ đại dương lạnh giá, hứa hẹn ngày nào đó sẽ cung cấp điện năng vô tận cho các quốc đảo
- 02-06-2022Sâu thẳm dưới đại dương, một nguồn năng lượng chỉ chờ được khai thác, mở ra giấc mơ về nguồn năng lượng vĩnh cửu
Hơn chục lỗ bí ẩn như thể tạo thành đường kẻ, được phương tiện điều khiển từ xa phát hiện ở độ sâu 2,6 km tại khu vực Azores, gần đất liền của Bồ Đào Nha.
Các nhà khoa học trước đây cũng từng phát hiện những dấu vết tương tự nhưng hiện vẫn chưa thể lý giải những lỗ bí ẩn này là gì, do đâu mà có. Họ chỉ tạm gọi nó là "Lebensspuren", tiếng Đức có nghĩa "dấu vết sự sống" - ám chỉ có thể do các sinh vật sống tạo nên.
"Điều gì đã tạo ra những dấu vết đó dưới đáy đại dương? Nguồn gốc của nó đang khiến các nhà khoa học bối rối" - bài đăng trên Twitter và Facebook của dự án Thám hiểm Đại dương và Khí quyển Quốc gia Mỹ (NOAA) thừa nhận.

Hàng lỗ bí ẩn dưới đáy biển được phát hiện hôm 23-7. Ảnh: NOAA/New York Times
Thực tế, đã có dấu vết tương tự lần đầu được phát hiện dưới đáy biển cách đây khoảng 20 năm trước nhưng nhận định về nguồn gốc của nó đến nay còn rất nhiều ý kiến trái chiều.
Có ý kiến cho rằng nó do "con người tạo ra", có ý kiến lại khẳng định chúng có thể là "dấu hiệu từ người ngoài trái đất". Số khác đặt câu hỏi: "Chúng có phải là dấu vết do tàu ngầm để lại không? Hay chúng có thể là lỗ thở của một sinh vật biển tự chôn sâu mình dưới cát?".
Tiến sĩ Vecchione, chuyên gia của NOAA thừa nhận: "Có điều gì đó đang diễn ra nhưng chúng tôi chưa thể giải mã. Còn có rất nhiều bí ẩn về hàng lỗ dưới đáy biển mà chúng tôi mới vừa phát hiện ra ở Azores".

Phương tiện điều khiển từ xa của NOAA. Ảnhr: New York Times
Còn các nhà khoa học tại Viện Nghiên cứu Biển ở Na Uy nhận định: "Chúng đều do sinh vật biển tạo nên trong quá trình đi hoặc bơi trên lớp trầm tích. Cũng có thể do sinh vật biển đào hang dưới lớp cát và đâm lên tạo thành lỗ".
Dự kiến, ngày 7-8 tới, NOAA tiếp tục có chuyển thám hiểm thứ ba kể từ tháng 5-2022. "Chúng tôi hy vọng rằng sẽ sớm có câu trả lời về hàng lỗ bí ẩn dưới đáy biển này. Có thể, qua đây mở rộng hiểu biết của chúng ta về điều kiện có thể tồn tại ở các hành tinh khác" - các nhà khoa học của NOAA nói thêm.
Câu chuyện về con cua và chiếc máy đo địa chấn dưới đáy đại dươngTheo Bằng Hưng
NLĐ
Theo NLĐ Copy link Link bài gốc Lấy link! https://nld.com.vn/thoi-su-quoc-te/nhung-hang-lo-bi-an-duoi-day-bien-20220729110713806.htm Chia sẻ Từ Khóa: đại dương, bí ẩn, đáy biểnCÙNG CHUYÊN MỤC
Xem theo ngày Ngày 1 2 3 4 5 6 7 8 9 10 11 12 13 14 15 16 17 18 19 20 21 22 23 24 25 26 27 28 29 30 31 Tháng Tháng 1 Tháng 2 Tháng 3 Tháng 4 Tháng 5 Tháng 6 Tháng 7 Tháng 8 Tháng 9 Tháng 10 Tháng 11 Tháng 12 Năm 2026 2025 2024 2023 2022 2021 2020 2019 XEMTổng thống nền kinh tế top đầu EU 'đắng lòng' thừa nhận sự thật liên quan tới Nga, cảnh báo khối đang trong 'tình thế khẩn cấp' Nổi bật
Chứng khoán châu Á - Thái Bình Dương tăng cao kỷ lục sau báo cáo việc làm Mỹ: Nhà đầu tư tiếp tục đổ dồn vào thước đo lạm phát ưa thích của Fed Nổi bật
7 lá xoài giá 52.000 đồng ở Mỹ: Thứ bỏ đi ở Việt Nam lại thành hàng bán, người ta mua về làm gì?
07:52 , 13/02/2026NÓNG: Manchester City chọn BYD làm đối tác di chuyển chính thức
07:21 , 13/02/2026Tàu ngầm Nga biến mất khỏi Biển Đen
22:33 , 12/02/2026Ai đang mua vàng nhiều nhất thế giới hiện nay?
22:10 , 12/02/2026 Công ty Tin tức Lãnh đạo- XÃ HỘI
- CHỨNG KHOÁN
- BẤT ĐỘNG SẢN
- DOANH NGHIỆP
- NGÂN HÀNG
- TÀI CHÍNH QUỐC TẾ
- VĨ MÔ
- KINH TẾ SỐ
- THỊ TRƯỜNG
- SỐNG
- LIFESTYLE
- Dữ liệu
- Top 200
Địa chỉ: Tầng 21 Tòa nhà Center Building. Số 01, phố Nguyễn Huy Tưởng, phường Thanh Xuân, thành phố Hà Nội
Điện thoại: 024 7309 5555 Máy lẻ 292. Fax: 024-39744082
Email: [email protected] | Hotline: 0926 864 344
Chịu trách nhiệm nội dung: Ông Nguyễn Thế Tân
Liên hệ quảng cáo
Hotline:
Email: [email protected]
Chat với tư vấn viên
© Copyright 2007 - 2026 - Công ty Cổ phần VCCorp.
Giấy phép thiết lập trang thông tin điện tử tổng hợp trên mạng số 2216/GP-TTĐT do Sở Thông tin và Truyền thông Hà Nội cấp ngày 10 tháng 4 năm 2019.
Chính sách bảo mật Trở lên trênTừ khóa » Những Bí Mật Dưới đáy đại Dương
-
10 điều Bí ẩn Gây Sốc Nhất Về đáy đại Dương | Báo Dân Trí
-
Top 10 Hiện Tượng Bí ẩn Của đại Dương | VOV.VN
-
NHỮNG THÀNH PHỐ BÍ ẨN DƯỚI ĐÁY ĐẠI DƯƠNG - YouTube
-
Ngỡ Ngàng Trước Top 10 điều Bí ẩn Dưới đáy đại Dương - Báo Mới
-
[Giải Mã] 8 Bí ẩn đáy đại Dương Thăm Thẳm ám ảnh Loài Người
-
Phát Hiện Loạt Lỗ Bí ẩn Dưới đáy Biển - Báo Lao Động
-
Loạt Bí ẩn Khủng Khiếp Trong Lòng đại Dương "đánh đố" Nhân Loại ...
-
Những Bí ẩn đại Dương - 24H
-
Video: Khám Phá Nghĩa Trang Bí Mật Nằm Sâu Dưới đáy Biển
-
Cuộc đua Bí Mật Dưới Lòng đại Dương: Khi đáy Biển được “phân Lô ...
-
Những điều Kỳ Lạ được Tìm Thấy Dưới Biển Sâu - Báo Hà Tĩnh
-
Bí Ẩn Đại Dương Sâu Thẩm - Tập 2 - TV360
-
Phát Hiện Thú Vị Về Những Sinh Vật Bí ẩn Náu Mình Dưới đáy đại Dương
-
Phát Hiện Bí Mật Dưới đáy đại Dương, Thợ Lặn Phải Giữ Kín Suốt 15 Năm