Những Hàng Lỗ Bí ẩn Dưới đáy Biển - Tin Thế Giới - 24H
Có thể bạn quan tâm
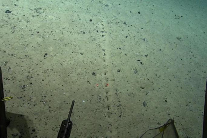
Các nhà thám hiểm Mỹ vừa phát hiện những hàng lỗ bí ẩn dưới đáy Đại Tây Dương.
Hơn chục lỗ bí ẩn như thể tạo thành đường kẻ, được phương tiện điều khiển từ xa phát hiện ở độ sâu 2,6 km tại khu vực Azores, gần đất liền của Bồ Đào Nha.
Các nhà khoa học trước đây cũng từng phát hiện những dấu vết tương tự nhưng hiện vẫn chưa thể lý giải những lỗ bí ẩn này là gì, do đâu mà có. Họ chỉ tạm gọi nó là "Lebensspuren", tiếng Đức có nghĩa "dấu vết sự sống" - ám chỉ có thể do các sinh vật sống tạo nên.
"Điều gì đã tạo ra những dấu vết đó dưới đáy đại dương? Nguồn gốc của nó đang khiến các nhà khoa học bối rối" - bài đăng trên Twitter và Facebook của dự án Thám hiểm Đại dương và Khí quyển Quốc gia Mỹ (NOAA) thừa nhận.

Hàng lỗ bí ẩn dưới đáy biển được phát hiện hôm 23-7. Ảnh: NOAA/New York Times
Thực tế, đã có dấu vết tương tự lần đầu được phát hiện dưới đáy biển cách đây khoảng 20 năm trước nhưng nhận định về nguồn gốc của nó đến nay còn rất nhiều ý kiến trái chiều.
Có ý kiến cho rằng nó do "con người tạo ra", có ý kiến lại khẳng định chúng có thể là "dấu hiệu từ người ngoài trái đất". Số khác đặt câu hỏi: "Chúng có phải là dấu vết do tàu ngầm để lại không? Hay chúng có thể là lỗ thở của một sinh vật biển tự chôn sâu mình dưới cát?".
Tiến sĩ Vecchione, chuyên gia của NOAA thừa nhận: "Có điều gì đó đang diễn ra nhưng chúng tôi chưa thể giải mã. Còn có rất nhiều bí ẩn về hàng lỗ dưới đáy biển mà chúng tôi mới vừa phát hiện ra ở Azores".

Phương tiện điều khiển từ xa của NOAA. Ảnhr: New York Times
Còn các nhà khoa học tại Viện Nghiên cứu Biển ở Na Uy nhận định: "Chúng đều do sinh vật biển tạo nên trong quá trình đi hoặc bơi trên lớp trầm tích. Cũng có thể do sinh vật biển đào hang dưới lớp cát và đâm lên tạo thành lỗ".
Dự kiến, ngày 7-8 tới, NOAA tiếp tục có chuyển thám hiểm thứ ba kể từ tháng 5-2022. "Chúng tôi hy vọng rằng sẽ sớm có câu trả lời về hàng lỗ bí ẩn dưới đáy biển này. Có thể, qua đây mở rộng hiểu biết của chúng ta về điều kiện có thể tồn tại ở các hành tinh khác" - các nhà khoa học của NOAA nói thêm.
Các hiện vật cổ được khai quật tại di chỉ Tam Tinh Đôi ở tỉnh Tứ Xuyên, cho thấy vùng tây nam Trung Quốc – nơi vốn được coi là vùng ngoại vi trong nền văn minh Trung Hoa –...
Bấm xem >>
Từ khóa » đáy Biển Phượng Hoàng Truyền Kỳ
-
Đáy Biển / 海底 - Phụng Hoàng Truyền Kỳ (Phoenix Legend)
-
VIETSUB •《Đáy Biển》| 海底 - Phượng Hoàng Truyền Kỳ - YouTube
-
[Vietsub + Pinyin] Đáy Biển - Phượng Hoàng Truyền Kỳ /海底
-
[VIETSUB] ĐÁY BIỂN | 海底 - Phượng Hoàng Truyền Kỳ | 凤凰传奇
-
Đáy Biển - Phụng Hoàng Truyền Kỳ | 海底 - 凤凰传奇 - SoundCloud
-
Đáy Biển - Phượng Hoàng Truyền Kỳ - 海底 - 凤凰传奇 - HOT DOUYIN
-
By 小开心 - Xiaokaixin | [Vietsub] Đáy Biển - Phượng Hoàng Truyền ...
-
Phượng Hoàng Truyền Kỳ | By 爱中国音乐-Love Chinese Music
-
đáy Biển Lời Việt - ws
-
Học Bài Hát Tiếng Trung: Đáy Biển 海底 Hǎidǐ
-
Những Bài Hát Hay Nhất Của Phụng Hoàng Truyền Kỳ (Phoenix ...
-
Bình Định: Thu Dọn Rác Thải Dưới đáy Biển
-
Đo Sâu địa Hình đáy Biển Vùng Nước Nông Bằng Phương Pháp đo ...
-
Những Thợ Săn Dưới Đáy Biển. - Nhà Xuất Bản Trẻ
-
Nghề Lưới Kéo Dưới đáy Biển Gây Tổn Hại đến đại Dương
-
Các Nhà Khoa Học đem Rau Xuống Trồng Dưới đáy Biển - Báo Tuổi Trẻ